Bauen, Kaufen, Mieten –<br/>Immobilien in Gedern
Bauen, Kaufen, Mieten –
Immobilien in Gedern

Immobilien in Gedern: Der lokale Immobilienmarkt auf einen Blick

Grundstück kaufen

Bauen in Gedern

Sie möchten bauen und suchen Grundstücke in Gedern, die zur Wohnbebauung geeignet sind? Hier finden Sie Baugrundstücke.
Immobilie kaufen

Immobilien kaufen in Gedern

Sie suchen ein Haus oder eine Eigentumswohnung in Gedern zum Kauf? Informieren Sie sich hier über passende Angebote.
Immobilie mieten

Immobilien mieten in Gedern

Sie möchten nach Gedern ziehen oder in Gedern umziehen und suchen eine Immobilie zur Miete? Angebote finden Sie hier.
Gewerbeobjekte

Gewerbeobjekte in Gedern

Sie suchen Gewerbeflächen oder Gewerbeimmobilien am Standort Gedern? Gewerbeobjekte finden Sie hier.

Immobiliensuche in Gedern

Auf dem Immobilienportal der Stadt Gedern finden Sie Immobilien zum Kauf und zur Miete. Die Grundstücke, Häuser, Wohnungen und Gewerbeimmobilien werden dabei durch die Stadt selbst sowie von Bürgern und örtlichen Immobilienmaklern angeboten. Die Objekte gliedern sich in die Bereiche »Bauen«, »Kaufen«, »Mieten« und »Gewerbe«. Gleichzeitig finden Sie Standortinformationen zu Gedern.

Angaben zur Stadt

Regierungsbezirk Darmstadt
Landkreis Wetteraukreis
Postleitzahl(en) 63688
Vorwahl(en) 06045
Einwohner 7.165
Fläche 75,24 km²
Bevölkerungsdichte 95 Ew./km²
Bürgermeister Guido Kempel (parteilos)
Sitz der Verwaltung Schlossberg 7
63688 Gedern

Stadt Gedern

Gedern liegt mit den Stadtteilen Mittel-Seemen, Ober-Seemen, Nieder-Seemen, Wenings und Steinberg, ca 50 km von Frankfurt am Main entfernt, im Nordosten des Wetteraukreises.

Am unmittelbaren Rand des Vogelsbergs grenzt Gedern an den einst größten Vulkan Europas und ist Teil des Naturparkes Hoher Vogelsberg.

Gedern mit seinen fünf St...

Mehr Informationen anzeigen

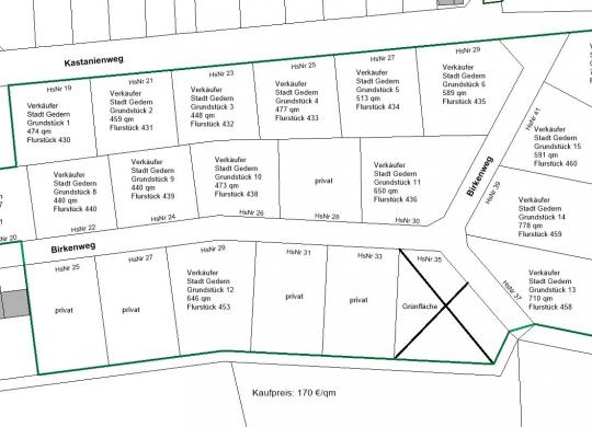
Wohngebiet »Wohnpark Nucourt, 2. BA«

Foto des Wohngebiet

Die Stadt Gedern hat im Stadtteil Wenings ein Baugebiet entwickelt. Insgesamt entstehen ca. 70 Bauplätze, die in drei Erschließungsabschnitten von Süden nach Norden erschlossen werden. Die Grundstücke im ersten Bauabschnitt sind alle verkauf...

zum Baugebiet

Immobilien in Gedern anbieten

Sie möchten eine Immobilie anbieten? Die Stadt Gedern gibt auch Privatpersonen und gewerblichen Anbietern die Möglichkeit, Immobilienangebote auf dem kommunalen Immobilienportal Gedern zu präsentieren.

Immobilie inserieren